Melissa Kasırgası Haiti’de 25 can aldı! Jamaika ve Küba’da binlerce kişi tahliye edildi

Haiti’de Melissa Kasırgası’nın yol açtığı sel felaketinde 25 kişi hayatını kaybetti. Kasırga, Jamaika ve Küba’da binlerce kişinin tahliyesine yol açtı.
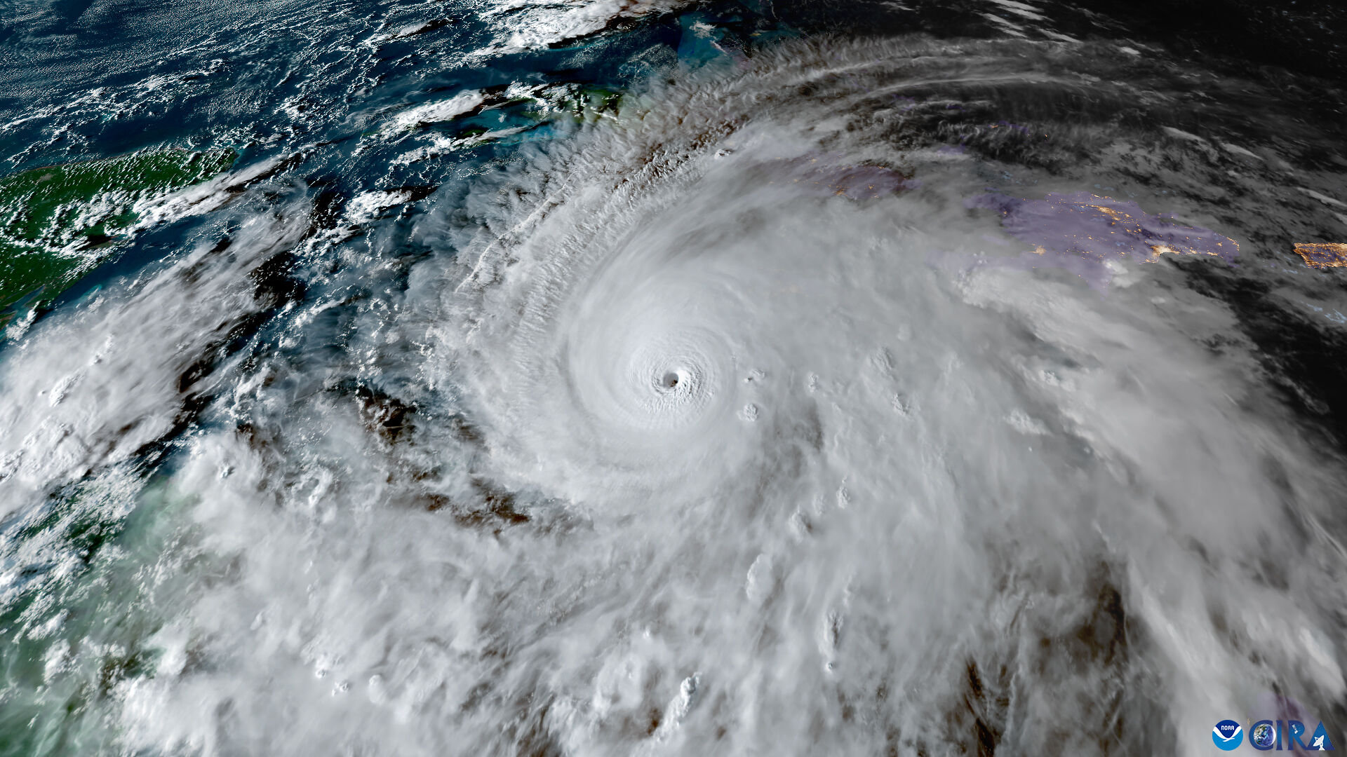
Karayipler, Melissa Kasırgası nedeniyle alarm durumunda. Hızı saatte 260–295 kilometreye ulaşan ve şiddeti “5. Kategori” olarak sınıflandırılan kasırga, özellikle Haiti, Jamaika ve Küba’da yıkıma yol açtı.

HAİTİ'DE TAŞKIN VE CAN KAYBI
Haiti’nin güneyindeki Petit-Goâve kasabasında, La Digue Nehri taştı ve çevredeki evleri sular bastı. Belediye Başkanı Jean Bertrand Subrème, selde 25 kişinin hayatını kaybettiği, onlarca evin yıkıldığını ve hâlâ enkaz altında mahsur kalan insanlar olduğunu açıkladı. Subrème, hükümete kurtarma çalışmaları için yardım çağrısında bulundu.

JAMAİKA'DA 25 BİN KİŞİ TAHLİYE EDİLDİ
Kasırganın etkili olduğu Jamaika’da yaklaşık 25 bin kişi güvenli bölgelere tahliye edildi. Eğitim Bakanı Dana Morris Dixon, adanın yüzde 77’sinde elektrik kesintisi yaşandığını, su sistemlerinin ise büyük ölçüde sağlam kaldığını belirtti. Ülkenin batısında bir ağacın bir bebeğin üzerine düşmesi sonucu en az bir kişinin hayatını kaybettiği bildirildi. Kasırga, Jamaika’nın başkenti Kingston’un 205 kilometre güneybatısında ilerleyerek batı yönünde hareket ediyor.

KÜBA'DA GENİŞ TAHLİYELER
Küba Devlet Başkanı Miguel Díaz-Canel, kasırga nedeniyle 735 binden fazla kişinin tahliye edildiğini açıkladı. Canel, sosyal medya paylaşımında, “Tüm Küba için çok zor bir gece olacak ancak atlatacağız” dedi. ABD Ulusal Kasırga Merkezi (NHC), kasırganın Küba’nın güneydoğu kıyılarına ulaştığını ve ilerleyen günlerde Jamaika ile Küba’da yıkıcı fırtına koşullarına yol açabileceğini duyurdu.

BİRLEŞMİŞ MİLLETLER'DEN DESTEK VE UYARI
BM Genel Sekreteri Antonio Guterres, kasırganın Karayipler’de geniş çaplı yıkıma yol açmasından derin endişe duyduğunu açıkladı. Guterres, hayatını kaybedenlerin ailelerine taziyelerini iletirken, yaralılara acil şifalar diledi. BM, kasırgadan etkilenen ülkelere insani yardım için hazır olduğunu duyurarak felaket için 4 milyon dolarlık acil yardım fonu ayırdığını belirtti.

Bilim insanları, Atlantik okyanuslarının ısınmasının ve iklim değişikliğinin, Melissa Kasırgası gibi şiddetli fırtınaların sıklığını ve gücünü artırdığını vurguluyor. Karayipler’in altyapı zayıflığı, felaket sonrası toparlanmayı uzun ve maliyetli hale getirebilir.






