BM'den Patricia tayfunu uyarısı: Binlerce insan ölebilir
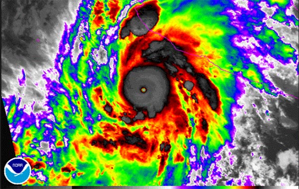
Yeryüzünde istatistiklere giren en güçlü tayfun olan ve şimdiye kadar 46 kişinin ölümüne sebep olan Patricia tayfununun binlerce can alacağı belirtildi.
Meksika'nın güneybatısına doğru ilerleyen Patricia tayfununun, 2013 yılında Filipinler'de 6 bin 300 kişinin yaşamanı mal olan Haiyan tayfunundan daha tehlikesi olabileceği iddia edildi.BM Dünya Meteoroloji Örgütü sözcüsü Clare Nullis İsviçre'nin Cenevre kentinde Meksika'nın güneybatısına doğru ilerleyen Patricia tayfunuyla ilgili açıklamalarda bulundu.
Patricia tayfununun dün gece saatte 295 kilometre hızla ilerlediğini belirten Nullis, bölgede büyük bir doğal felaket meydana gelebileceği uyarısında bulundu. Patricia tayfunun hızının saatte 400 kilometreye ulaştığı ifade ediliyor. BM Dünya Meteoroloji Örgütü sözcüsü Clare Nullis'e göre, Patricia tayfunu, 2013 yılında Filipinler ve Vietnam'da 6300 kişinin hayatına mal olan Haiyan tayfunundan daha güçlü ve Meksika'nın güneybatısında büyük bir felakete neden olabilir.
KOPPU TAYFUNU FİLİPİNLERİ VURDU
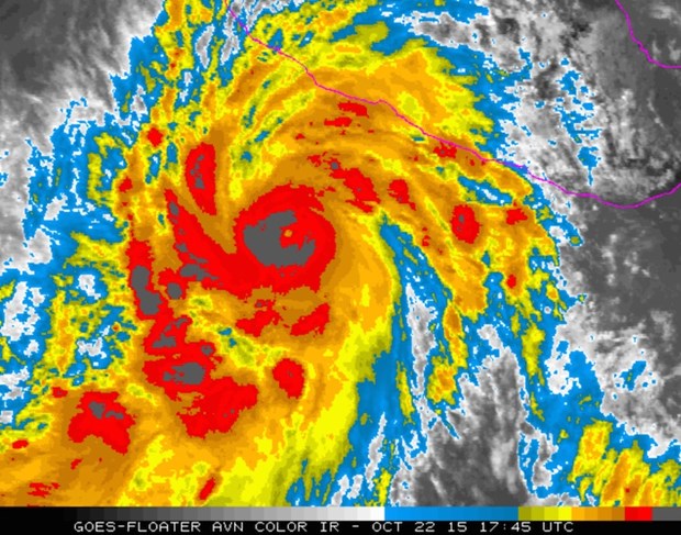
Filipinler'i etkisi altına alan Koppu tayfunu ise şu ana kadar 46 kişinin ölümüne, 82 kişinin yaralanmasına neden oldu. Filipinler Ulusal Afet Yönetim Kurulu'ndan (NDRRMC) yapılan açıklamada, tayfunda 46 kişinin hayatını kaybettiği, 82 kişinin yaralandığı, ölenlerin sel sularında boğuldukları, çöken duvarların ve devrilen ağaçların altında kaldıkları ifade edildi. Kayıp 5 kişiyle ilgili arama çalışmalarının sürdüğü belirtilen açıklamada, tayfunun şiddetli yağışlara, sel ve heyelana neden olduğu bölgelerde yaklaşık 1.5 milyon kişinin etkilendiği ve bu kişilerden 108 bin 688'inin tahliye merkezlerinde kaldığı kaydedildi.
Filipinler'in Luzon Adası'nın kuzeyinde etkisini 25 Ekim'e kadar sürdüreceği bildirilen tayfunun hızının saatte 20 kilometreye düştüğü ifade edildi. Koppu tayfunu nedeniyle 11 köprünün zarar gördüğü ve 751 okul binasının yıkıldığı aktarılan açıklamada, ülkenin kuzeyinde tarım arazilerine ciddi zarar veren tayfunun, 202 milyon dolar tutarında hasara yol açtığı belirtildi.
Bu yıl Büyük Okyanus'ta oluşan 24'üncü tayfun olan Koppu nedeniyle 5 kent ve 52 ilçeye halen elektrik verilemiyor.
Her yıl 20 kadar tayfun ve fırtınanın vurduğu Filipinler'de 2013 yılında etkili olan Haiyan tayfunu 6 binden fazla kişinin ölümüne, 4 milyon kişinin evsiz kalmasına neden olmuştu.
Bizi Takip Edin
YORUMLAR
