‘Vampir Kelebek’ alarmı! Her yeri sardı, ne meyve kaldı ne çay…
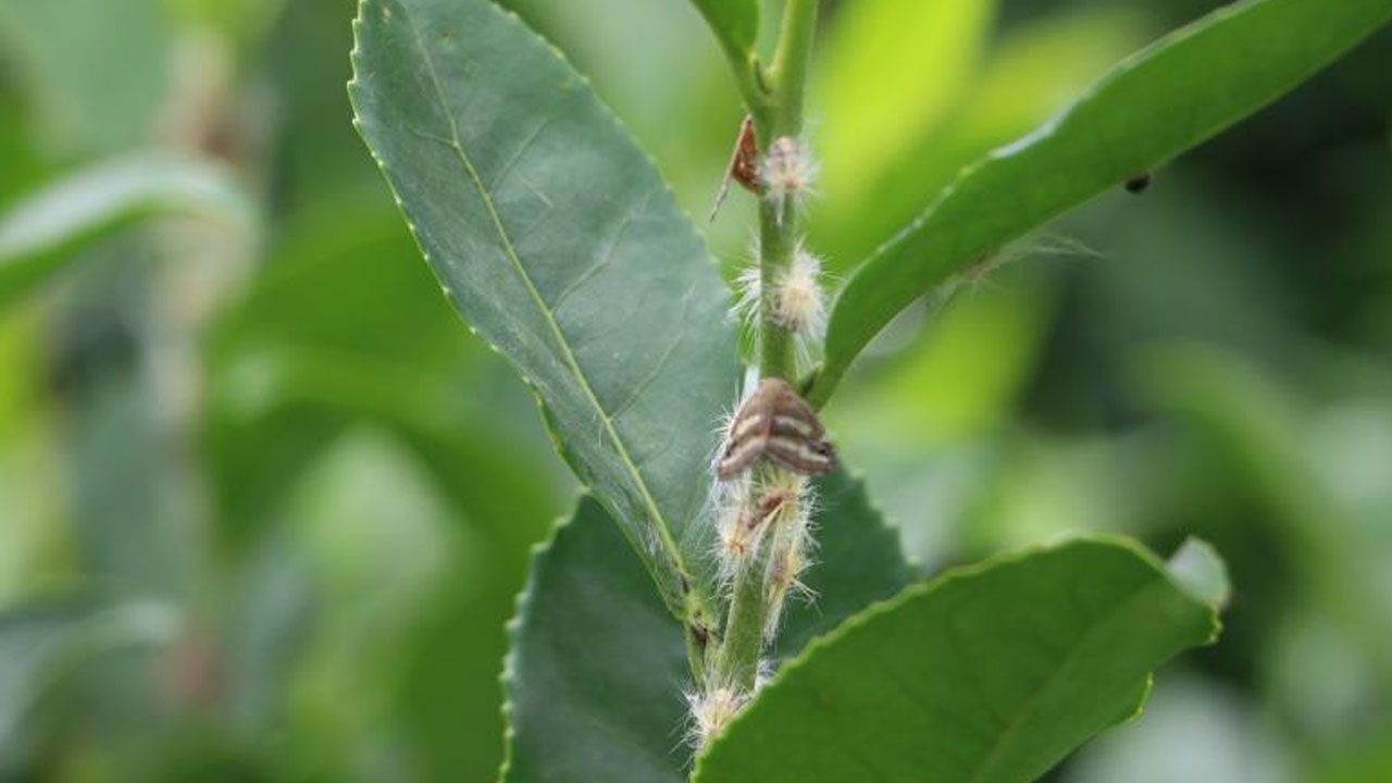
Doğu Karadeniz Bölgesi'nde tarım arazilerinde ilk kez 2008 yılında görülen ve bitkilerin özsuyunu emdiği için halk arasında “Vampir Kelebek” olarak bilinen Ricania Simulans, son günlerde artan sıcaklıklarla birlikte yeniden ortaya çıkmaya başladı.
Rize’de yeşil bitkilerin özünü emdiği için 'vampir kelebek' olarak adlandırılan ve çiftçilerin kabusu haline gelen Ricania Simulans'ın yumurtlama dönemi olan Temmuz ayında, bıraktığı yumurtalar Ağustos ayında kelebeğe dönüşünce bitkilere ciddi anlamda zarar veriyor.
“SALATALIK, FASULYE, MEYVE… HEPSİ KURUDU”
Rize’nin Çayeli ilçesinde yaşayan Adnan Cengiz isimli vatandaş vampir kelebeklerin çay başta olmak üzere tüm bitkilere zarar verdiğini söyledi.
Cengiz "Karadeniz bölgesinde Rize Çayeli’nde bu kelebek haddinden fazla türedi. Sizin de gördüğünüz gibi salatalıkları, fasulyeleri ve meyveleri tamamen kuruttu. Tarım Bakanımız bunun için bilhassa bu kelebekler için şikâyetçiyiz” dedi.
VATANDAŞ İSYAN ETTİ: EVDE BİLE OTURULMUYOR
Yardım isteyen Cengiz sözlerinin devamında ise “Gece evde oturamıyoruz, gece kapılara ve pençelere çıkamıyoruz. Her taraf kelebek dolu bundan biz rahatsızız ne olacak bilmiyoruz. Karadeniz bölgesini bu kelebekler tamamen sardı. Rahatsız oluyoruz hiç meyve ve çay kalmadı. Bas baya bizi rahatsız ediyor. Buna büyüklerimiz bir el atsa da bunlardan bizi kurtarsınlar" şeklinde konuştu.
